Der Stadtrat Regis-Breitingen hat in seiner Sitzung vom 23.04.2026 beschlossen, den Entwurf des Bebauungsplanes „Blumrodaer Straße, Regis“ der Stadt Regis-Breitingen aufgrund Änderungen gegenüber dem vom 10.11.2025 – 12.12.2025 ausgelegten Entwurf gemäß §4a Abs.3 i.V.m. §3 Abs. 2 BauGB erneut öffentlich auszulegen. Dieser Beschluss wird hiermit bekannt gemacht.
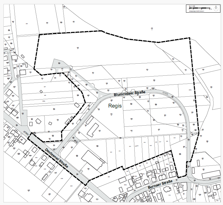
Das Plangebiet befindet sich in Regis-Breitingen, im Ortsteil Regis, nördlich und südlich der Blumrodaer Straße.
Vorrangiges Planungsziel des Bebauungsplanes ist die Schaffung von Wohn- und Gewerbeflächen, die den aktuellen und zukünftigen Entwicklungen in Regis-Breitingen gerecht werden. Außerdem soll mit der Planung die Betriebserweiterung für den bestehenden SB-Lebensmittelmarkt ermöglicht werden. Angestrebt wurde ein schlüssiges städtebauliches Gesamtkonzept, das gleichzeitig bestehende Grün- und Freiräume sichert und weiterentwickelt.
Erneute Auslegung
Der Entwurf des Bebauungsplanes „Blumrodaer Straße, Regis“ in der Fassung vom 01.09.2025 einschließlich Begründung und Umweltbericht war durch den Stadtrat am 25.09.2025 gebilligt und zur Auslegung bestimmt worden. Gleichzeitig fand die Beteiligung der Behörden und Träger öffentlicher Belange gemäß § 4 Abs. 2 BauGB statt.
Aufgrund der Abwägung der eingegangenen Stellungnahmen der Träger öffentlicher Belange wurden Änderungen im Planentwurf notwendig. Die Änderungen sind in die 2. Fassung des Entwurfes vom 10.04.2026 eingearbeitet worden. Sie machen eine erneute Auslegung des Entwurfes gemäß § 4a Abs. 3 BauGB in Verbindung mit § 3 Abs. 2 BauGB erforderlich.
Folgende wesentliche Änderungen wurden vorgenommen:
- In der Planzeichnung Teil A wird nördlich der Blumrodaer Straße statt eines Allgemeinen Wohngebiets WA 6.3 ein Mischgebiet MI 2 festgesetzt, das vormals festgesetzte MI 6.4 wird in MI 6.3 umbenannt. Dadurch können im westlich gelegenen Gewerbegebiet entsprechend der Stellungnahme des Landkreises Leipzig vom 08.01.2026 die Emissionskontingente so festgesetzt werden, dass es ein Teilgebiet ohne Emissionsbeschränkungen gibt (aus der Neuberechnung der Geräuschimmissionsprognose mit Stand vom 30.03.2026 ergibt sich zudem eine sehr geringfügige Anpassung der zeichnerisch festgesetzten Lärmpegelbereiche).
- Dementsprechend wird im Teil B Text die Textliche Festsetzung TF 2.1 zum Maß der baulichen Nutzung (Tabelle GRZ/GFZ) an die zeichnerische Änderung angepasst.
- Dementsprechend werden weiterhin im Teil B Text die Textlichen Festsetzungen TF 5.1 „Schallschutzmaßnahmen an Gebäuden“ und 5.2 „Immissionswirksame flächenbezogene Schallleistungspegel in den Gewerbegebieten“ auf der Grundlage der überarbeiteten Geräuschimmissionsprognose mit Stand vom 30.03.2026 neu gefasst bzw. in den Werten für die zulässigen Schalleistungspegel angepasst.
- Aufgrund von eingegangenen Stellungnahmen wurden im Teil B Text außerdem die Textlichen Festsetzungen TF 1.2 „Mischgebiete – MI“ und TF 1.3 „Gewerbegebiete – GE“ dahingehend geändert, dass Einzelhandel in den MI- und GE-Gebieten nicht zulässig ist und in den GE-Gebieten Betriebe, die der Störfall-Verordnung (12. BImSchV) unterliegen, nicht zulässig sind.
Die erneute Auslegung erfolgt gemäß § 4a Abs. 3 Satz 2 BauGB mit verkürzten Fristen und beschränkt sich auf die geänderten Teile des Planentwurfs.
Der geänderte Entwurf des Bebauungsplans, die Begründung und die zugehörigen Fachgutachten werden
vom 06.05.2026 bis 27.05.2026
auf der Webseite der Stadt Regis-Breitingen unter
https://www.stadt-regis-breitingen.de/bau-wirtschaft/bebauungsplaene/
sowie über das zentrale Landesportal des Freistaates Sachsen zur Bauleitplanung veröffentlicht.
Die gesamten Planunterlagen werden zusätzlich im Rathaus der Stadt Regis-Breitingen, Rathausstraße 25, im Sitzungszimmer in 04565 Regis-Breitingen während der Dienststunden:
Montag 08:00 bis 12:00 und 13:00 bis 15:00 Uhr
Dienstag 08:00 bis 12:00 und 13:00 bis 18:00 Uhr
Mittwoch 08.00 bis 12:00 und 13:00 bis 15:00 Uhr
Donnerstag 08:00 bis 12:00 und 13:00 bis 17:00 Uhr
Freitag 08:00 bis 11:00 Uhr
zur Einsicht öffentlich ausgelegt.
Stellungnahmen
Während der Auslegungsfrist können Stellungnahmen bei der Stadtverwaltung Regis-Breitingen, Rathausstr. 25, 04565 Regis-Breitingen schriftlich oder per Mail an die
Mailadresse fraunippe@stadt-regis-breitingen.de eingebracht werden.
Nicht fristgerecht abgegebene Stellungnahmen können gemäß § 3 Abs. 2 Satz 4 Nr. 3 BauGB bei der Beschlussfassung über den Bebauungsplan unberücksichtigt bleiben.
Die in den vorliegenden Stellungnahmen genannten voraussichtlichen
Umweltauswirkungen beziehen sich insbesondere auf folgende Aussagen und Hinweise:
Stellungnahme Landkreis Leipzig
Äußerung immissionsschutzrechtlicher Bedenken bezüglich der Lärmkontingentierung in den festgesetzen Gewerbegebieten
Daraufhin wurden folgendene Gutachten mit umweltbezogenen Informationen geändert bzw. angepasst
- Geräuschimmissionsprognose vom 03.03.2026
- Umweltbericht vom 10.04.2026 (in der Begründung enthalten)
- Grünordnerischer Fachbeitrag vom 10.04.2026
Regis-Breitingen, den 27.04.2026
Sehr geehrte Tierhalterinnen und Tierhalter,
Die fristgerechte Meldung und Beitragszahlung für Ihren Tierbestand ist Voraussetzung für:
da die Stadtratssitzungen zum überwiegenden Teil im Schulungsraum der Feuerwehr in der Kernstadt stattfinden, habe ich mich entschlossen, in den Ortsteilen eine Bürgersprechstunde einzurichten.
Diese soll alle zwei Monate dienstags vor der Stadtratssitzung von 17.00 Uhr bis 18.00 Uhr in Ramsdorf im Gebäude des SV Ramsdorf stattfinden (Sportplatz).
Ihr Bürgermeister Jörg Zetzsche
Kommunale Wärmeplanung erfolgreich abgeschlossen
Die sechs Kommunen des Südraums Leipzig – Böhlen, Groitzsch, Neukieritzsch, Regis-Breitingen, Rötha und Zwenkau – haben ihre gemeinsame kommunale Wärmeplanung erfolgreich abgeschlossen. Die Stadt- und Gemeinderäte wurden entsprechend informiert. Ziel des Projektes war es, eine strategische Grundlage zu schaffen, um die Wärmeversorgung künftig klimafreundlicher, unabhängiger und effizienter zu gestalten. Dabei hat jede Kommune ihren eigenen Wärmeplan erhalten, der auf die individuellen Gegebenheiten vor Ort zugeschnitten ist.
Im Rahmen des Projekts wurden zunächst der aktuelle Stand der Wärmeversorgung sowie die Potenziale für erneuerbare Energien und industrielle Abwärme untersucht. Die Analyse zeigt, dass die Wärmeversorgung in den sechs Kommunen heute noch überwiegend erdgasbasiert ist. Gleichzeitig bestehen Potenziale, auf lokale Energiequellen wie Umweltwärme, Solarthermie, oberflächennahe Geothermie sowie Abwärme aus Industrieprozessen zurückzugreifen. Darüber hinaus wurden bestehende Wärmenetze berücksichtigt. Auf diesen Grundlagen konnten in allen Kommunen Fokusgebiete identifiziert werden, in denen der Einsatz von Wärmenetzen künftig besonders sinnvoll sein kann.
Eine eigens gegründete Steuerungsgruppe hat den gesamten Entstehungsprozess der Wärmeplanung aktiv unterstützt, beraten und die Ergebnisse des Wärmeplans bestätigt. Sie bestand aus Vertreterinnen und Vertretern der beteiligten Kommunalverwaltungen, der Kommunalen Strukturentwicklungsgesellschaft mbH, der Energieversorger, der Netzbetreiber, der Wohnungswirtschaft sowie weiterer regionaler Unternehmen.
Für jede Kommune wurde ein Maßnahmenkatalog erstellt, der die wichtigsten nächsten Schritte definiert. Dazu gehörten die Prüfung neuer Wärmenetzprojekte, die stärkere Nutzung lokaler Energiequellen, die schrittweise Umstellung der Energieversorgung und perspektivisch auch die mögliche Einbindung von grünem Wasserstoff. Die Ergebnisse der Wärmeplanung dienen damit als wesentliche Grundlage, um in den kommenden Jahren konkrete Projekte gezielt anzustoßen und die Wärmewende aktiv zu gestalten.
Die vollständigen Ergebnisse, Fokusgebiete und Handlungsempfehlungen sind ab sofort auf der Homepage der Stadt Regis-Breitingen verfügbar. Die kommunale Wärmeplanung muss alle fünf Jahre fortgeschrieben werden, um neue technische Entwicklungen, gesetzliche Rahmenbedingungen und regionale Potenziale berücksichtigen zu können.
Das Vorhaben „Kommunale Wärmeplanung für die Städte und Gemeinden Böhlen, Groitzsch, Neukieritzsch, Regis-Breitingen, Rötha und Zwenkau“ wird gefördert durch das Bundesministerium für Wirtschaft und Klimaschutz aufgrund eines Beschlusses des Deutschen Bundestages.

Aufgrund des 8 11 des Gesetzes zur Schätzung des landwirtschaftlichen Kulturbodens (Bodenschätzungsgesetz, BodSchätzG vom 20. Dezember 2007) wird in der/den Gemarkung(en) Ramsdorf, Großhermsdorf, Heuersdorf, Gemeinde Stadt Regis-Breitingen in der Zeit vom 01.03.2025 bis 31.12.2025 eine Nachschätzung durchgeführt. Nach § 15 Bodenschätzungsgesetz haben Eigentümer und Nutzungsberechtigte das Betreten der Grundstücke zu gestatten und die erforderlichen Maßnahmen, insbesondere Aufgrabungen zu dulden. Diese Duldung gilt für die Vermessungsarbeiten, die zur Vorbereitung und Durchführung der Bodenschätzung notwendig sind, und für die Schätzungsarbeiten selbst.
Die Friedhofsverwaltung informiert Aus gegebenen Anlass möchten wir darauf hinweisen, dass die Beisetzungen in den Urnengemeinschaftsanlagen (Rosenhain) auf dem kirchlichen Friedhöfen Breitingen und Regis grundsätzlich gem. § 17 Abs. 4 der geltenden Friedhofssatzung der Stadt Regis-Breitingen anonym erfolgen bzw. erfolgt sind. Ausnahme bildet die Inschrift der Namenstafeln an der Mauer auf dem Friedhof Breitingen. Weiterhin darf auf dem Sockel der Umrandung lediglich Blumenschmuck abgestellt werden, sonstiger Grabschmuck (in Form von Figuren, Schieferplatten mit Namensnennung oder Abbildungen usw.) wird nicht zugelassen. Wir möchten alle betreffenden Angehörigen und Besucher darum bitten, jeden privaten Grabschmuck mit Namensnennung oder Abbild des Verstorbenen sowie allen weiteren Grabschmuck, welcher nicht als Behältnis für Blumenschmuck dient, bis zum 31. Juli 2023 von den Urnengemeinschaftsanlagen zu entfernen. Nach dem 31. Juli 2023 wird dies durch die Friedhofsverwaltung geschehen. Die Friedhofverwaltung bewahrt den entfernten Grabschmuck 3 Monate mit der Möglichkeit der Abholung durch die Hinterbliebenen auf. Anderenfalls wird dieser anschließend entsorgt.
Bekanntmachungen von anderen Institutionen
Vereinsstammtisch Südraum Leipzig 2026 Liebe Akteure und Mitstreiter im Südraum Leipzig, die Lokale Aktionsgruppe Südraum Leipzig startet eine neue Runde der Unterstützung der Vereinsarbeit. Dabei ist es uns wichtig, einerseits die Zusammenarbeit zwischen den Vereinen auszubauen aber vor allen auch andererseits Sie als Ehrenamtler – ob neu im Verein oder auch schon länger dabei – bei der Vereinsarbeit zu unterstützen. Wir haben dazu für unsere Startveranstaltung Wann: 27.04.2026, 18 Uhr Wo: in Neukieritzsch, Gemeindesaal; Schulstraße 1 eine kompetente Rednerin – Frau Claudia Vater (Bereichsleiterin: Koordination Ländlicher Raum) vom Sächsischen Landeskuratorium Ländlicher Raum e. V. – gewinnen können. Im Rahmen unseres Vereinsstammtisches warten auf Sie viele wichtige Informationen und neue Einblicke. Tagesordnung 18.00 1. Begrüßung und kurzer Überblick zu aktuellen Fördermöglichkeiten LEADER RM 18.05 2. Engagement-Werkstatt Neu im Vorstand?! – Unentbehrliches Wissen für Arbeit im gemeinnützigen Verein Der Beitrag gibt einen Überblick über aktuelle Rahmenbedingungen in der Vereinsarbeit. Von Vereinsrecht, über Haftungsfragen bis hin zu Aspekten der Buchhaltung und des Vereinsmanagements gibt es nützliche Tipps. Außerdem werden die ab 2026 geltenden Änderungen in der Gemeinnützigkeit vorgestellt. Praxisrelevante Fragen der Teilnehmenden können im direkten Austausch geklärt werden. Claudia Vater 19.30 Austausch bei einem kleinen Imbiss Wir hoffen auf eine rege Teilnahme und bitten um Anmeldung bis zum 02.04.2026 an mail@iwr-leipzig.com Mit freundlichen Grüßen im Auftrag des Vorstandes der LAG Ihr Regionalmanagement Annedore Bergfeld


Die KELL GmbH hat
sich daher entschieden, den flächendeckenden Versand der Abfallbroschüren
einzustellen und statt einer umfangreichen Verteilung eine gezielte
Auflage des neuen „Abfallwegweisers“ in den Wertstoffhöfen und
Stadt- sowie Gemeindeverwaltungen bereitzustellen.
Trotz der digitalen Fortschritte setzt die KELL GmbH auch künftig auf
bewährte Informationsangebote. Der neue „Abfallwegweiser“ als gedruckte
Broschüre erscheint ab 2025 alle zwei Jahre und liegt in den
Wertstoffhöfen sowie in den Stadt- und Gemeindeverwaltungen zur
Mitnahme aus. Diese enthält Informationen zu Abfallgebühren, eine
Übersicht der Wertstoffhöfe, Sperrmüllkarten, ein Abfall-ABC und mehr.
Die beliebten Tonnen-Aufkleber und der Jahreskalender werden im Dezember
dem „Landkreis Journal“ beigelegt, das an jeden
Haushalt im Landkreis verteilt wird.
Die regionalen Entsorgungstermine und der Tourenplan des Schadstoffmobils
finden Sie im „Landkreis Journal“ Für die digital versierten Bürgerinnen
und Bürger bietet die KELL GmbH weiterhin die Tourenplanung
auf ihrer Webseite www.kell-gmbh.de im „Abfallkalender“ an. Hier können
alle Abfuhrtermine nicht nur online eingesehen, sondern auch direkt
in digitale Kalender importiert oder als PDF heruntergeladen und
ausgedruckt werden.
Liebe Bürgerinnen und Bürger,
die fachgerechte Entsorgung von Altkleidern und Alttextilien ist ein wichtiger Beitrag zum Umwelt- und Ressourcenschutz. Leider kursierten zuletzt widersprüchliche Informationen zur richtigen Handhabung. Umso wichtiger ist es, für Klarheit zu sorgen.
Im Namen der AKS GmbH Halle informieren wir Sie nachfolgend über die aktuellen Regelungen zur Altkleidersammlung und bitten um Ihre Mithilfe für einen sauberen und nachhaltigen Umgang mit Alttextilien.
Richtige Entsorgung von Altkleidern und Alttextilien – ein Appell an unsere gemeinsame Verantwortung
in den vergangenen Monaten kam es in den Medien zu Missverständnissen rund um die Entsorgung von Alttextilien. Teilweise wurde berichtet, dass künftig auch kaputte sowie stark beschädigte Kleidung über Altkleidercontainer entsorgt werden dürfe. Diese Aussage ist falsch und wurde inzwischen von offizieller Seite korrigiert.
Was darf in den Altkleidercontainer?
✔️ Tragfähige Kleidung
✔️ Heimtextilien wie Bettwäsche, Handtücher oder Gardinen/Vorhänge
✔️ Federbetten
✔️ Gut erhaltene Paar-Schuhe (gebündelt)
✔️ Kuscheltiere
Was darf NICHT hinein?
❌ Kaputte, stark verschmutzte oder feuchte Textilien
❌ Einzelschuhe, Badezimmermatten, Teppiche, Spielzeug etc.
❌ Haushaltsmüll
❌ Schrott- und Elektroabfälle
❌ Synthetische Decken und Kissen, Schlafsäcke, Heizmatten
❌ Matratzen
Wichtig: Keine Ablagerungen außerhalb der Container!
Bitte werfen Sie Ihre Alttextilien ausschließlich in die dafür vorgesehenen Einwurföffnungen der Container. Das Abstellen von Säcken, Kartons oder Kleidungsstücken neben oder auf den Containern ist verboten. Auch gut erhaltene Kleidung darf nicht einfach daneben gestellt werden. Diese sogenannten „Beistellungen“ gelten als illegale Müllablagerung, belasten die Umwelt, verursachen hohe Entsorgungskosten und führen immer häufiger zur Schließung ganzer Containerstandorte.
Ebenso gilt: In Altkleidercontainern dürfen keine Restabfälle, Verpackungen oder nicht-textilen Gegenstände (wie z.B. Kleiderbügel) entsorgt werden. Fehlwürfe machen die enthaltenen Textilien oft unbrauchbar und gefährden die gesamte Verwertungskette.
Leider ziehen sich bereits viele Sammler aus der Fläche zurück, da die finanziellen Belastungen durch illegale Müllentsorgung, Fehlwürfe und Vandalismus enorm gestiegen sind. Auch unsere Containerstandorte sind von diesen Entwicklungen betroffen. Umso mehr sind wir auf Ihre Unterstützung angewiesen!
Sie möchten Alttextilien abzugeben?
Nach telefonischer Anmeldung nehmen wir Ihre Alttextilien auch gern direkt auf unserem Firmenhof entgegen:
📍 AKS GmbH Halle, Brachwitzer Weg 2, 06193 Petersberg OT Morl
📞 Anmeldung unter: +49 34606 29898
Nur gemeinsam können wir die Altkleidersammlung langfristig aufrechterhalten.
Wir appellieren an Ihre Vernunft und Ihr Verantwortungsbewusstsein – für unsere Umwelt, für den Erhalt wohnortnaher Sammelstellen und für eine funktionierende Kreislaufwirtschaft.
Vielen Dank für Ihre Unterstützung!
Mit freundlichen Grüßen
Thomas Moll
Geschäftsführer
AKS GmbH Halle – Textilhandel
Brachwitzer Weg 2, 06193 Petersberg OT Morl
Telefon: 034606 – 2 98 98
Website: ℹ️ www.altkleider24.de

Informationen der Kämmerei
Im Rathaus der Stadtverwaltung Regis-Breitingen liegen ab sofort Flyer – „Die neue Grundsteuer – Wichtige Informationen für Grundstückseigentümer“ – vom Staatsministerium der Finanzen zur Mitnahme aus.
Zudem können Sie den Flyer auf der Startseite der Homepage der Stadt Regis-Breitingen sowie unter der Rubrik Bekanntmachungen aufrufen.
Bei Fragen zur Grundsteuerreform, wenden Sie sich bitte, an Ihr zuständiges Finanzamt.
Die Internetseite des Finanzamtes Grimma (www.fa-grimma.de) enthält u.a. die Anschrift, E-Mail Adressen, Telefonnummern. Es wurde eine Hotline zu Grundsteuerfragen für das Finanzamt Grimma eingerichtet, diese ist unter der Telefonnummer: 03437/ 940 5900 erreichbar.
auf das Bild klicken und informieren
(!Die Flyer liegen auch kostenfrei auf dem Rathaus aus!)
Ab 2025 wird die Grundsteuer neu berechnet. Dafür werden ab 2022 alle Grundstücke in Deutschland neu bewertet. Zum ersten Mal wird die auf den neuen Grundsteuerwerten basierende Grundsteuer ab dem 1. Januar 2025 zu zahlen sein. Bis dahin gelten die bisherigen Einheitswerte und Grundsteuermessbeträge weiter.
Für die neue Grundsteuer ab 2025 ist vom 1. Juli bis 31. Oktober 2022 für jedes Grundstück bzw. jeden Betrieb der Land- und Forstwirtschaft (dazu zählen auch einzelne land- und forstwirtschaftliche Flächen) vom Eigentümer eine Steuerklärung beim zuständigen Finanzamt abzugeben. Bei Grundstücken, die mit einem Erbbaurecht belastet sind, ist der Erbbauberechtigte erklärungspflichtig.
Informationsschreiben im II. Quartal 2022 der sächsischen Finanzämter an die Eigentümer von Grundstücken in Sachsen
Die Finanzämter werden im II. Quartal 2022 (vorauss. Ende April bis Anfang Juni 2022) Informationsschreiben an die Grundstückseigentümer versenden. Neben dem Aktenzeichen werden auch die Bezeichnung des Flurstücks bzw. eines Großteils der Flurstücke, die unter dem Aktenzeichen gespeichert sind, aus dem Informationsschreiben ersichtlich. Darüber hinaus wird der Ablauf erläutert, Telefonnummern für Fragen bei den Finanzämtern benannt und auch auf das Grundsteuerportal Sachsen verwiesen, in dem für die Erklärung wichtige Daten zum Grundstück (z. B. Gemarkungsnummer, Flurstücksnummer, amtliche Fläche, Bodenrichtwert bzw. Ertragsmesszahl) aufgerufen werden können. Das Grundsteuerportal Sachsen wird voraussichtlich ab 1. Juli 2022 freigeschaltet.
Bei Miteigentum ist es möglich, dass kein Informationsschreiben eingeht. In diesem Fall wurde ggf. ein anderer Miteigentümer angeschrieben.
Abgabe der Erklärung ab 1. Juli 2022
Die Erklärung können Sie über ELSTER ab dem 1. Juli 2022 kostenlos und elektronisch abgeben. Dafür benötigen Sie ein Benutzerkonto. Sofern Sie noch kein solches Konto besitzen, können Sie es bereits jetzt beantragen. Sollten Sie bereits ein Benutzerkonto besitzen, das Sie z. B. für Ihre Einkommensteuererklärung benutzen, können Sie es auch für die Grundsteuer verwenden. Sie können über ELSTER Feststellungserklärungen auch für eine andere Person (z. B. in Betreuungsfällen, für die Eltern usw.) übermitteln. Sie müssen für diese Person keine zusätzliche Registrierung in ELSTER vornehmen.
Informationen zum ELSTER-Portal finden sie unter: www.elster.de
Das Finanzamt setzt den Grundsteuerwert und den Grundsteuermessbetrag fest. Nach Vorliegen der neuen Grundsteuermessbeträge (voraussichtlich Ende 2023/Anfang 2024) können sich die sächsischen Gemeinden mit der »neuen« Grundsteuer auseinandersetzen. Sie werden prüfen, ob sie ihre Hebesätze anpassen müssen. Anschließend werden sie die neuen Grundsteuerbescheide versenden. Die neu berechnete Grundsteuer ist dann ab dem 1. Januar 2025 zu zahlen.
Einzelanfragen zur künftigen Grundsteuerhöhe kann ihre Stadt oder Gemeinde nicht beantworten. Die Städte und Gemeinden können die Hebesätze für das Jahr 2025 erst festsetzen, wenn hierfür die Messbeträge der Grundstücke im Gemeindegebiet vorliegen. Voraussichtlich können die erforderlichen Entscheidungsprozesse somit erst im 2. Halbjahr 2024 begonnen werden.
Informationen zur Grundsteuerreform in Sachsen finden Sie unter: www.grundsteuer.sachsen.de


